News

Intersection improvements coming to Hillsborough Bridge area

August 27, 2024

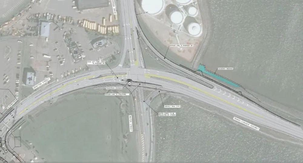
Construction is underway to improve traffic flow and public safety on Route 1 Riverside Drive and Hillsborough Bridge in Charlottetown. 

Construction will occur until mid-November. The improvements cost $2.6 million and include:

  • Widening the road by the right turn ramp from the Hillsborough Bridge to Riverside Drive
  • Constructing a through lane from Grafton Street to the Hillsborough Bridge
  • Repaving and concrete work throughout the intersection

“The intersection will become far more efficient and safer for Islanders and visitors. Traffic will move smoothly, ending the line ups we see today. This is good for motorists and good for our environment.”

- Acting Transportation and Infrastructure Minister Bloyce Thompson

The project design accommodates increased traffic for the next decade. The Province will make more upgrades depending on future traffic volume.

There will be no lane closures for Stratford to Charlottetown traffic from 7:00 am to 9:00 am, and no lane closures for Charlottetown to Stratford traffic from 4:00 pm to 6:00 pm. The right turn ramp from the Hillsborough Bridge to Riverside Drive will stay open throughout the project. 

This intersection improvement project is happening on the opposite side of the City of Charlottetown’s work on Grafton Street.   

The Province appreciates motorists’ patience and support during construction, and encourages all motorists to slow down, be prepared to stop and obey signs and traffic control personnel.

Media contact:

Stacey Miller

Transportation and Infrastructure

samiller@gov.pe.ca

General Inquiries

Department of Transportation, Infrastructure and Energy

3rd Floor, Jones Building
11 Kent Street,
P.O. Box 2000,
Charlottetown, PE C1A 7N8

Phone: 902-368-5100
Fax: 902-368-5395

Access PEI/Highway Safety Head Office

33 Riverside Drive
Charlottetown, PE

Phone: 902-368-5200

accesspeicharlottetown@gov.pe.ca

Road-Related Inquiries: 
roads@gov.pe.ca

Report Transportation Problems